Ciência & Meio Ambiente

Supertufão Sinlaku acende alerta: o que o fenômeno no Pacífico pode indicar para o clima no Brasil

Compartilhar

O supertufão Sinlaku, formado no Oceano Pacífico, chamou a atenção de meteorologistas não apenas pela sua força, mas pela velocidade com que se intensificou.

Segundo análise da MetSul Meteorologia, o fenômeno pode ser um sinal de mudanças importantes no comportamento do oceano. Já a Yale Climate Connections destaca que tempestades como essa têm se tornado mais intensas em um contexto de aquecimento das águas, o que amplia o alerta para impactos climáticos em escala global.

Eventos extremos como esse estão se tornando mais frequentes e podem ter efeitos que vão muito além da região onde se formam.

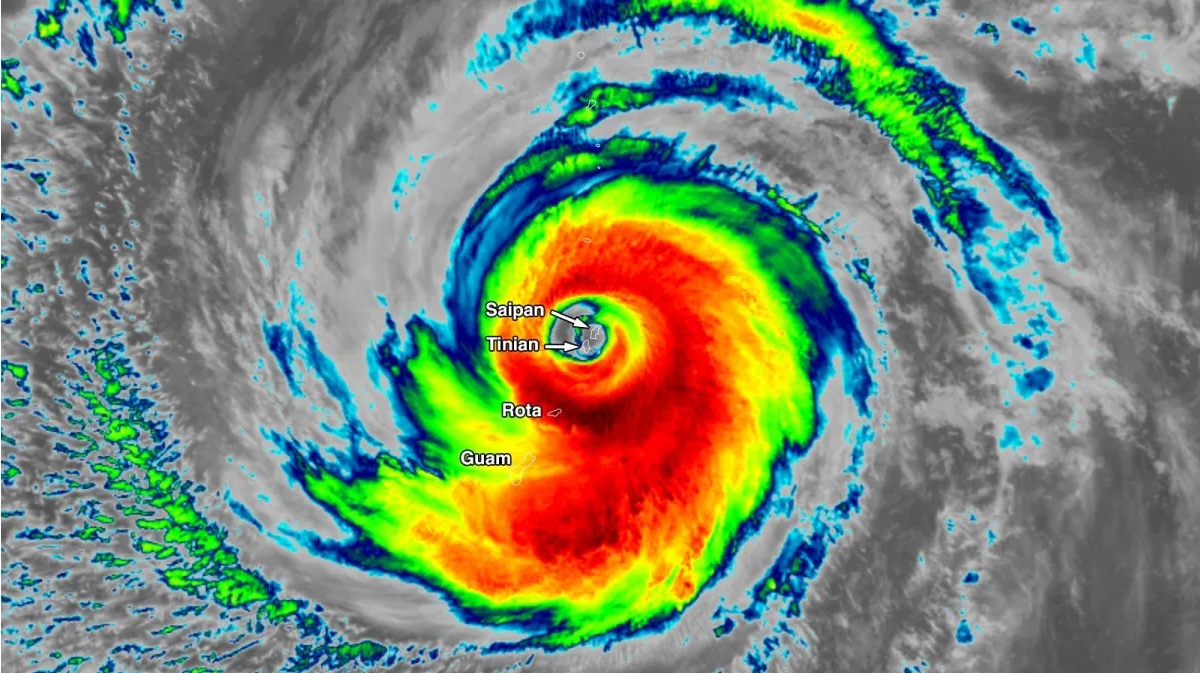
Sinlaku se intensificou em tempo recorde e isso preocupa

Um dos aspectos mais impressionantes do Sinlaku foi sua intensificação extremamente rápida. Em cerca de dois dias, o sistema evoluiu até atingir níveis muito elevados de energia,  um comportamento associado a condições oceânicas fora do padrão.

De acordo com a Yale Climate Connections, o supertufão se desenvolveu sobre águas com temperaturas próximas ou acima de 30 °C, um patamar considerado elevado e capaz de fornecer grande quantidade de energia para tempestades.

Por que o supertufão é considerado um sinal de alerta

Mais do que um evento isolado, o Sinlaku levanta preocupações sobre o estado atual do Oceano Pacífico.

Para a MetSul, a formação de um supertufão nessas condições pode indicar um oceano mais aquecido e energeticamente instável — um ambiente propício para extremos climáticos.

Esse desequilíbrio pode influenciar:

  • padrões globais de circulação atmosférica
  • regimes de chuva em diferentes regiões
  • a frequência e intensidade de eventos extremos

Como o Pacífico influencia o clima em todo o planeta

O Oceano Pacífico desempenha um papel central na regulação do clima do planeta. Alterações em sua temperatura e nos ventos podem influenciar o clima em regiões distantes.

É nesse contexto que se inserem fenômenos como o El Niño e a La Niña, que refletem mudanças na interação entre oceano e atmosfera.

El Niño e La Niña: por que esses fenômenos importam

El Niño e La Niña fazem parte de um sistema natural de variações no Oceano Pacífico que influencia o clima em diversas regiões do planeta.

O El Niño ocorre quando as águas superficiais do Pacífico Equatorial ficam mais quentes do que o normal. Esse aquecimento altera os ventos e a circulação atmosférica, podendo provocar mudanças nos padrões de chuva e temperatura em diferentes partes do mundo.

Já a La Niña representa o oposto: um resfriamento dessas águas, também capaz de modificar o comportamento da atmosfera e gerar impactos climáticos relevantes.

Esses fenômenos não acontecem de forma isolada: eles fazem parte de uma dinâmica maior de interação entre oceano e atmosfera, que ajuda a explicar por que eventos ocorridos no Pacífico podem ter efeitos em regiões distantes, como o Brasil.

O que o supertufão pode indicar sobre o El Niño

Eventos como o supertufão Sinlaku não acontecem isoladamente. Segundo análises citadas pela Yale Climate Connections, alterações nos ventos e no transporte de calor no Pacífico podem contribuir para a reorganização do sistema climático.

Esse tipo de dinâmica pode favorecer o desenvolvimento ou intensificação do El Niño — fenômeno caracterizado por temperaturas elevadas do Pacífico Equatorial.

O El Niño é um fator capaz de alterar padrões climáticos globais, provocando desde chuvas intensas até períodos de seca, dependendo da região.

O que pode mudar no clima do Brasil

Embora não seja possível estabelecer uma relação direta imediata, mudanças no Pacífico tendem a repercutir no clima brasileiro.

Em anos de El Niño, por exemplo, é comum observar:

  • aumento das chuvas no Sul
  • maior risco de eventos extremos
  • alterações na distribuição de temperaturas

Já a La Niña costuma provocar efeitos opostos em algumas dessas regiões.

Um sinal de que o clima pode estar mudando

A combinação entre águas mais quentes, intensificação rápida de tempestades e mudanças nos padrões atmosféricos reforça um ponto central: o clima global está interligado e em transformação acelerada.

Os especialistas apontam que eventos como o supertufão Sinlaku podem ser indicativos de um oceano mais aquecido e dinâmico, o que tende a amplificar extremos climáticos.

O que observar nos próximos meses

Para os meteorologistas, acompanhar o comportamento do Pacífico nas próximas semanas será essencial.

O supertufão Sinlaku pode ser parte de um cenário mais amplo, em que mudanças na temperatura dos oceanos e na circulação atmosférica passam a influenciar de forma mais intensa o clima em diversas partes do mundo, incluindo o Brasil.

Entenda a diferença entre El Niño e La Niña

El Niño e La Niña são eventos climáticos que se caracterizam pelo aquecimento ou resfriamento das águas do Oceano Pacífi…

Cientistas descobrem versões antigas e mais fortes do El Niño e La Niña

Um novo estudo da Universidade Duke mostra que a oscilação entre o El Niño e a La Niña acontece há pelo menos 250 milhõe…

Meteorologia: por que é tão importante prever o tempo?

Como uma ciência que estuda a atmosfera terrestre, a meteorologia é fundamental para o planejamento, desenvolvimento e s…

Bruna Chicano

Cientista ambiental, vegana, mãe da Amora e da Nina. Adora caminhar sem pressa e subir montanhas.

Utilizamos cookies para oferecer uma melhor experiência de navegação. Ao navegar pelo site você concorda com o uso dos mesmos.

Saiba mais